Новости Владивосток

Во Владивостоке ищут подрядчика, который отремонтирует перекрёсток на Патрокле

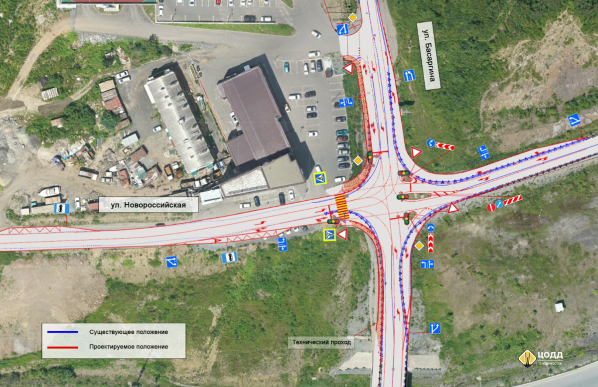
Управление дорог администрации города объявило открытый конкурс в электронной форме на поиск компании-подрядчика, которая займётся в этом году ремонтом перекрёстка на Патрокле. Работы должны завершиться к середине сентября, они будут вестись по нацпроекту «Инфраструктура для жизни». На перекрёстке появятся новые знаки и светофоры, а на подъездах к нему – новые поворотные полосы.

«По разработанному проекту конфигурация перекрёстка изменится – при подъезде к перекрёстку будут созданы дополнительные поворотные полосы, появится разметка из термопластичных материалов, новые знаки и светофоры. Для удобства пешеходов здесь создадут комфортные и безопасные наземные переходы», – сообщили в управлении дорог администрации города.

Заявки от специализированных компаний, которые хотят провести ремонт этого участка, принимают до 14 марта. Определят победителя на основе опыта компании в проведении таких работ, наличия финансовых ресурсов, оборудования и других материальных ресурсов на праве собственности или ином законном основании, а также на основе репутации.

Начальная цена работ – 31 809 946,74 рубля.

Планируется, что после реконструкции движение на перекрёстке будет полностью регулироваться светофорами. Изменится и ширина проезжей части – для поворотов с разных направлений перекрёстка будут предусмотрены отдельные полосы.


Обсудить в Telegram
 — newsvl.ru
 — newsvl.ru
Пришлите свою новость
Пришлите свою новость
Полная версия сайта